Skip to main content
Hit enter to search or ESC to close
Close Search
Menu
병원소개
WHY 1mm?
병원둘러보기
의료진소개
진료안내
학술활동
언론보도
수상 내역
공지사항
눈성형
비절개 쌍꺼풀
절개 쌍꺼풀
눈매교정
트임
눈밑성형
눈위 지방이식/제거
중년눈성형
눈썹하거상술
눈재수술
쌍꺼풀 재수술
트임복원
코성형
유형별 코성형
콧대성형
코끝성형
콧볼축소
리프팅
SMAS 안면거상
미니 안면거상
중안면거상
내시경 이마거상
실리프팅
남자성형
남자 눈성형
남자 코성형
지방성형
안면 지방이식
안면 지방흡입
안티에이징
필러·보톡스
리쥬란
쥬베룩
슈링크
울쎄라
써마지 FLX
프로모션
고객 후기
전후사진
수술후기
예약상담
온라인 예약
카카오톡 상담
모델 지원
유사 케이스 찾기
로그인
회원가입
Review
전후사진
1mm성형외과의 전후사진을 안내드립니다.
전체보기
제목
내용
검색
전체보기
눈성형
눈재수술
코성형
중년성형
남자성형
지방성형
리프팅
쁘띠
기타
전체보기
눈성형
눈재수술
코성형
중년성형
남자성형
지방성형
리프팅
쁘띠
기타
로그인 후 확인 가능합니다.
로그인
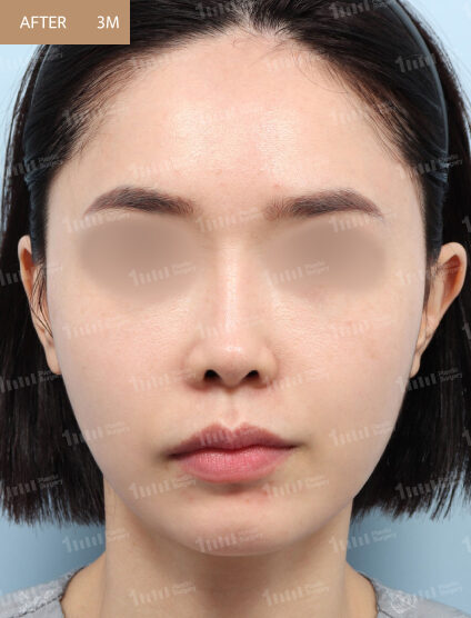
BEFORE
AFTER
절개눈매교정 재수술, 앞트임(RD) 뒷밑트임 눈밑지방재배치 눈밑지방이식
1mm성형외과
로그인 후 확인 가능합니다.
로그인
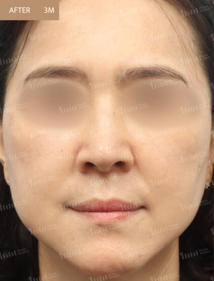
BEFORE
AFTER
눈썹하거상술, 하안검 눈밑지방이식
1mm성형외과
로그인 후 확인 가능합니다.
로그인
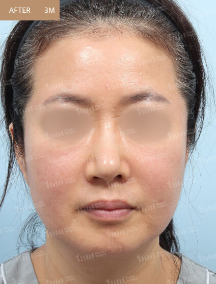
BEFORE
AFTER
비절개 자연유착눈매교정 재수술, 윗트임, 왼쪽만 앞트임재수술
1mm성형외과
로그인 후 확인 가능합니다.
로그인
BEFORE
AFTER
절개 눈성형, 앞윗트임, 뒷밑트임
1mm성형외과
로그인 후 확인 가능합니다.
로그인
BEFORE
AFTER
비절개 자연유착눈매교정, 앞트임(윗)
1mm성형외과
로그인 후 확인 가능합니다.
로그인
BEFORE
AFTER
절개 눈성형 재수술, 라인낮추기
1mm성형외과
로그인 후 확인 가능합니다.
로그인
BEFORE
AFTER
절개눈성형 라인낮추기 재수술, 눈밑지방재배치, 눈밑 리쥬란 2cc,
1mm성형외과
로그인 후 확인 가능합니다.
로그인
BEFORE
AFTER
절개눈매교정재수술, 눈위 지방이식 뒷,밑트임, 하안검
1mm성형외과
로그인 후 확인 가능합니다.
로그인
BEFORE
AFTER
절개눈매교정 재수술, 윗트임, 뒷,밑트임
1mm성형외과
1
2
3
4
5
6
7
8
9
10
»
마지막
Powered by KBoard
Close Menu
병원소개
WHY 1mm?
병원둘러보기
의료진소개
진료안내
학술활동
언론보도
수상 내역
공지사항
눈성형
비절개 쌍꺼풀
절개 쌍꺼풀
눈매교정
트임
눈밑성형
눈위 지방이식/제거
중년눈성형
눈썹하거상술
눈재수술
쌍꺼풀 재수술
트임복원
코성형
유형별 코성형
콧대성형
코끝성형
콧볼축소
리프팅
SMAS 안면거상
미니 안면거상
중안면거상
내시경 이마거상
실리프팅
남자성형
남자 눈성형
남자 코성형
지방성형
안면 지방이식
안면 지방흡입
안티에이징
필러·보톡스
리쥬란
쥬베룩
슈링크
울쎄라
써마지 FLX
프로모션
고객 후기
전후사진
수술후기
예약상담
온라인 예약
카카오톡 상담
모델 지원
유사 케이스 찾기
로그인
회원가입